The food at Casa Neptune (aka TREC)
is wonderful. Today we feasted on banana
pancakes, fresh pineapple, watermelon, and homemade cinnamon bread for
breakfast, chicken salad sandwiches, all-you-can-eat peanut butter and jelly
sandwiches, and the best-ever black bean dip for lunch, and spaghetti with
meatballs, salad, hot rolls, and brownies for dinner. Hours of snorkeling do wonders for the
appetite. Today our captain and guide were
once again Chicho and Maureen, but our boat, the Valeria (aka
Suya I) was a larger version of yesterday’s. We were delighted with the larger vessel because there was far less sea
spray. Our enthusiasm was short lived, however: En route to our first destination, Mexico
Rocks, we were treated to a brief rain shower.
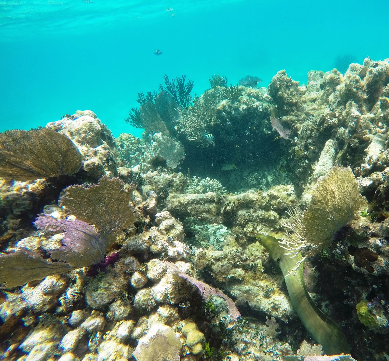
At the speed we were traveling, the rain felt like a hail of bullets. Mexico Rocks, named after the adjacent shore, is a
mid-lagoon, patch-reef system home to a wide diversity of marine wildlife. Montastrea annularis (boulder star
coral) dominates the limestone-based geology. We encountered a countless diversity of marine organisms, the highlights of
which were southern stingrays, Caribbean reef squid, a green moral eel, gray
and queen angelfish, colorful tube sponges, and over a dozen species of
damselfish. After the group snorkel, we
were invited to explore the site on our own, being mindful to adhere to the buddy
system.
Our second location was at the mouth of a limestone cave system that
stretches many miles deep into the mainland.
Some of us swam down 15 or more feet and gazed into the dark interior. There were Caribbean giant anemones, a couple
invasive lionfish, spiny lobsters, and many dozens of fish positioned
upside-down with their bellies against the roof of the cave. Of course we were obedient and did not swim
into the cave: Dr. Smith would have killed us. The final snorkel site of the
day was Playa Blanca, a shallow back reef where we broke into groups of 2-4 and
tested each other’s ability to identify organisms. We discovered (one of tactility) the
infamous fire coral in addition to a sneaky juvenile spotted moral eel. We concluded our day at the compound with a study hour and that awesome feast of
spaghetti and meatballs! (Written by Garrett Faucette and Cassie Hensel).
 |
| We're on a boat! |
The following photos don't do justice to the magnificent underwater scenery and wildlife at Mexico Rocks...
 |
| Can you see the six-foot green moray eel? |
 |
| An adorable southern stingray. |
 |
| Trey Spillers tests Dr. Smith's claim that the cnidocytes of the Caribbean giant anemone are stingless. |
 |
| Austin Wood near the mouth of Mexico Cave. |